美容|悲剧!33岁女网红抽脂感染去世:痛到在美容医院打120求救,抢救期两次全身杀菌!刚刚通报,医院全责!
中国基金报 泰勒
昨天
一则#网红小冉抽脂感染去世#的话题
登上微博热搜
一时间舆论哗然
文章图片
据了解
杭州女子小冉(化名)于5月2日
到杭州华颜医疗美容医院做吸脂填充手术
两个多月后因全身感染造成多器官衰竭
于7月13日抢救无效死亡
文章图片
33岁网红抽脂感染去世:在美容医院打120求救
据悉 , 小冉5月2日在杭州华颜医疗美容医院进行吸脂填充手术 , 5月4日术后因皮肤溃烂、器官衰竭转入ICU抢救 。 两个月后 , 小冉因全身感染造成多器官衰竭 , 于7月13日抢救无效死亡 。 小冉家属对该整形医院提出多项质疑 。 杭州市西湖区卫健局也已介入调查处理此事 。
小冉好友通过其微博账号发文(目前已设置为关注可见)称 , 5月4日上午6点34分 , 接到杭州绿城心血管病医院ICU医生打来的电话 , 通知小冉已多器官衰竭 。 ICU的医生告知家属 , 小冉的情况很不乐观 , 随时都有生命危险 。 院方表示 , 由于送往医院不及时 , 小冉已经错过最佳治疗时间 。
文章图片
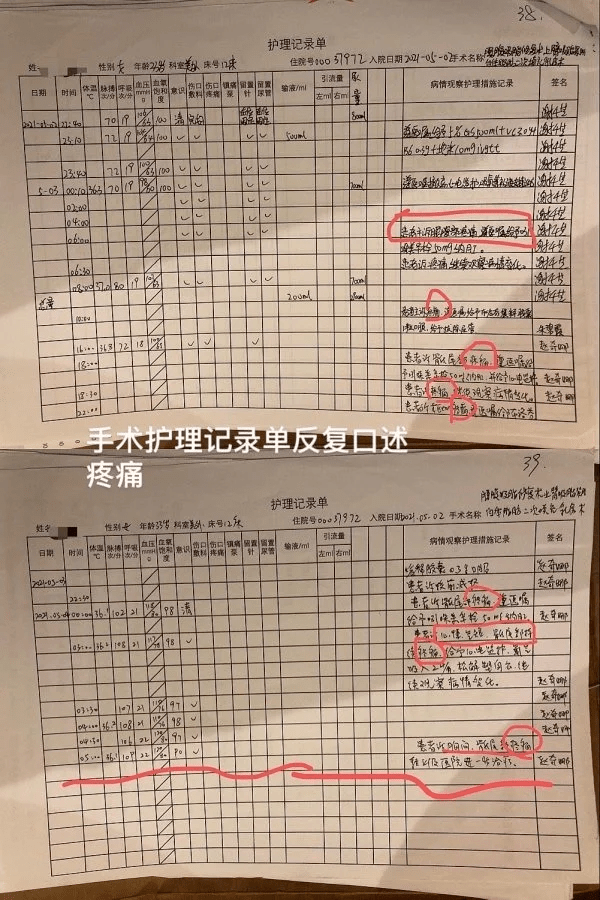
病历显示 , 小冉做了“腰腹吸脂修复术、上臂吸脂术和自体脂肪二次填充乳房术 。 这位好友说 , 她们查询了小冉在整形医院手术期间的护理记录单才得知 , 5月2日晚上术后至5月4日凌晨5点 , 小冉一直在喊痛 , 满篇“疼痛”的描述 。
而“杭州华颜医疗美容”在小冉表达痛苦的时候 , 只是简单用药 , 以为是普通抽脂手术的疼痛 , 但一直没有得到缓解 , 没有重视病人的病情 , 导致小冉错过了最佳抢救时间 。 “小冉疼得不行自己打120急救电话才被送去医院 。 ”
文章图片
小冉的朋友称 , 5月2日当晚 , 小冉在杭州华颜医疗美容医院进行了抽脂填充手术 , 由院内一位名叫高强的医生负责 。 术前 , 院方对小冉进行了各项身体检查 , 结果显示小冉当时身体状况允许接受手术 。 由于小冉在手术前没有提前告知就独自前往医院 , 其家属并不知道手术期间究竟发生了什么 。
文章图片
文章图片
5月5日 , 经家人商榷 , 小冉被转入浙江大学医学院附属第二医院进行治疗 , 在转院的过程中家人第一次见到术后的小冉 , 多器官衰竭 , 前胸到肚子皮肤大面积溃烂 , 浮肿 。
文章图片
由于错过了最佳治疗时间 , 只能在医院通过多种医疗机器和药物维持小冉的生命体征 。 期间浙江第二人民医院为小冉做了两次全身杀菌手术 , 直到7月13日肠胃大出血 , 医生进行了奋力抢救 , 最终也还是没能阻止再生细菌继续感染在ICU熬了两个月的小冉离开了人世 , 年仅33岁 。
家属对涉事医院的九大疑问
令人唏嘘的是 , 由于小冉是独自前往医院做手术 , 所以无人知道在手术期间究竟发生了什么 。
【美容|悲剧!33岁女网红抽脂感染去世:痛到在美容医院打120求救,抢救期两次全身杀菌!刚刚通报,医院全责!】
- 排毒|女性要排毒,推荐多吃4种食物,养护皮肤,祛皱美容,血管更通畅
- 冬天非常冷,没事吃的好食物,预防色素沉淀,美容养颜,身体好
- 目标|33岁上海肌肉男爆红网络,网友:这也太巨无霸了
- 健康证|景洪市专项检查医疗美容机构
- 桃胶是桃树的树脂,它真的有美容的作用吗?食用之前该如何处理?
- 女性养生多吃好的食物,保护肝脏淡斑美容,预防身体早衰
- 瑞丽美容医院|临沂瑞丽美容医院因违规从事美容诊疗活动被罚款5000元
- 太原市卫生健康委员会|小店区行政审批服务管理局关于对太原美娜净誉医疗美容诊所有限公司小店晋阳街医疗美容诊所的公示
- 秋季易感冒 多吃南瓜健康又美容
- 功效|小小鹌鹑蛋,功效却极高,美容养颜,健脑促发育,却不可乱吃
