华颜|悲剧!33岁网红抽脂感染去世:痛到在美容院打120求救!刚刚通报,医院全责!
昨天
【华颜|悲剧!33岁网红抽脂感染去世:痛到在美容院打120求救!刚刚通报,医院全责!】一则#网红小冉抽脂感染去世#的话题
登上微博热搜
一时间舆论哗然
文章图片
据了解
杭州女子小冉(化名)于5月2日
到杭州华颜医疗美容医院做吸脂填充手术
两个多月后因全身感染造成多器官衰竭
于7月13日抢救无效死亡
文章图片
33岁网红抽脂感染去世: 在美容医院打120求救 据悉 , 小冉5月2日在杭州华颜医疗美容医院进行吸脂填充手术 , 5月4日术后因皮肤溃烂、器官衰竭转入ICU抢救 。 两个月后 , 小冉因全身感染造成多器官衰竭 , 于7月13日抢救无效死亡 。 小冉家属对该整形医院提出多项质疑 。 杭州市西湖区卫健局也已介入调查处理此事 。
小冉好友通过其微博账号发文(目前已设置为关注可见)称 , 5月4日上午6点34分 , 接到杭州绿城心血管病医院ICU医生打来的电话 , 通知小冉已多器官衰竭 。 ICU的医生告知家属 , 小冉的情况很不乐观 , 随时都有生命危险 。 院方表示 , 由于送往医院不及时 , 小冉已经错过最佳治疗时间 。
文章图片
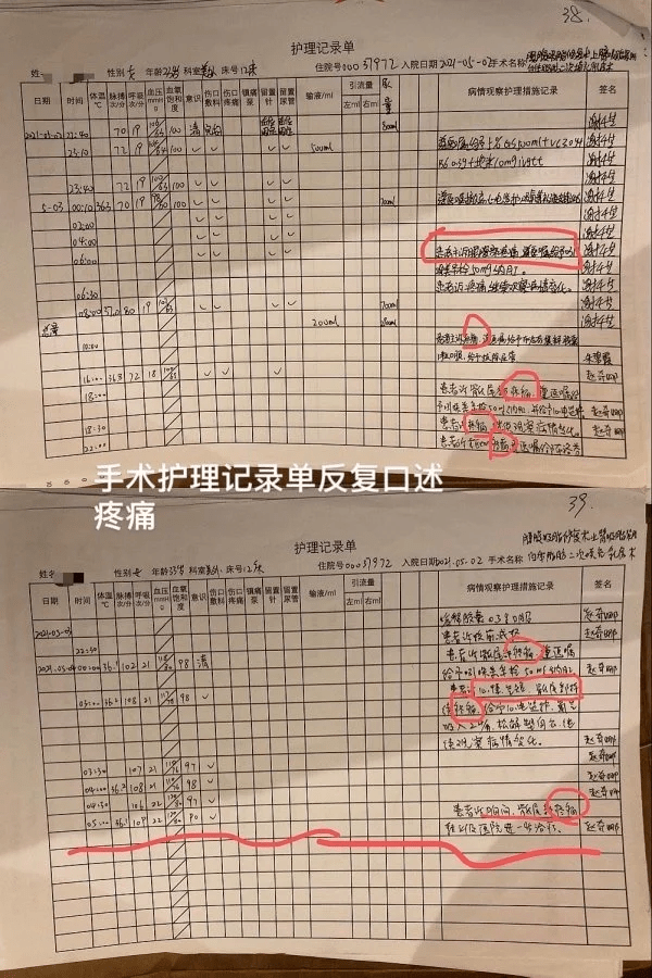
病历显示 , 小冉做了“腰腹吸脂修复术、上臂吸脂术和自体脂肪二次填充乳房术 。 这位好友说 , 她们查询了小冉在整形医院手术期间的护理记录单才得知 , 5月2日晚上术后至5月4日凌晨5点 , 小冉一直在喊痛 , 满篇“疼痛”的描述 。
而“杭州华颜医疗美容”在小冉表达痛苦的时候 , 只是简单用药 , 以为是普通抽脂手术的疼痛 , 但一直没有得到缓解 , 没有重视病人的病情 , 导致小冉错过了最佳抢救时间 。 “小冉疼得不行自己打120急救电话才被送去医院 。 ”
文章图片
小冉的朋友称 , 5月2日当晚 , 小冉在杭州华颜医疗美容医院进行了抽脂填充手术 , 由院内一位名叫高强的医生负责 。 术前 , 院方对小冉进行了各项身体检查 , 结果显示小冉当时身体状况允许接受手术 。 由于小冉在手术前没有提前告知就独自前往医院 , 其家属并不知道手术期间究竟发生了什么 。
文章图片
文章图片
5月5日 , 经家人商榷 , 小冉被转入浙江大学医学院附属第二医院进行治疗 , 在转院的过程中家人第一次见到术后的小冉 , 多器官衰竭 , 前胸到肚子皮肤大面积溃烂 , 浮肿 。
文章图片
由于错过了最佳治疗时间 , 只能在医院通过多种医疗机器和药物维持小冉的生命体征 。 期间浙江第二人民医院为小冉做了两次全身杀菌手术 , 直到7月13日肠胃大出血 , 医生进行了奋力抢救 , 最终也还是没能阻止再生细菌继续感染在ICU熬了两个月的小冉离开了人世 , 年仅33岁 。
家属对涉事医院的九大疑问
令人唏嘘的是 , 由于小冉是独自前往医院做手术 , 所以无人知道在手术期间究竟发生了什么 。
据封面新闻 , 小冉的家属告诉采访人员 , 他们对医院的判断和处理有九个疑问:
- 目标|33岁上海肌肉男爆红网络,网友:这也太巨无霸了
- 上海33岁女博士闫宏微:赴美抗癌不幸病逝,今丈夫带幼女独自生活
- 人间世2|上海33岁女博士闫宏微:赴美抗癌不幸病逝,今丈夫带幼女独自生活
- 喝水也要小心 切勿让杯具酿成悲剧
- 切除|33岁歌手姚贝娜香消玉殒,为何乳腺癌手术切除后,还会复发呢?
- 心血不足|中医治肝郁1例,33岁,肝郁阳亢,心血不足,失眠,心悸头痛
- 悲剧!英国女子腹痛数月医生置之不理,查出宫颈癌第二天死亡
- 肠子|33岁女子便秘,连用三年开塞露,肠子坏了,便秘不如早起喝杯它!
- 痛惜!33岁湖南刑警因公牺牲
- 上海33岁女博士赴美抗癌,花光16万以为得救,回国复查瞬间泪崩
